|
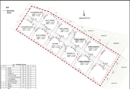
一、道路系统完善
园区道路鸟蓝图
二、服务中心功能齐全
园区办公楼效果图
服务区公寓 园区水源
电源及供电设施规划 1、规划在一期园区建一座110/10KV总降压变电站,将110KV外部电源降为10KV 2、后再经分布在一期园区内各处的10KV变电站降压为400KV后为各自区域的用电负荷供电。
三、周边机械配套设施完善 1、南阳市工业生产总值多年以来稳居河南省第三位,拥有国家级高新技术产业开发区和一大批国家级重点企业,这些企业取得了众多国内和国际上领先的科技技术成就。 2、现已初步形成包含装备制造、机械电子、冶金建材、光电和汽车零部件等在内的综合发展格局。
四、提供流动资金
|
[责任编辑:王远]













